TAG
Topan In-Fa
-
Badai Siklon Tropis Mengancam Penyelenggaraan Olimpiade Tokyo
Belum selesai dengan Topan In-Fa, potensi siklon tropis baru sudah terbentuk di Samudra Pasifik bagian barat.
Jumat, 23 Juli 2021 -
Setelah Banjir di Provinsi Henan, Badai In-Fa Akan Membawa Lebih Banyak Hujan Lebat ke Daratan China
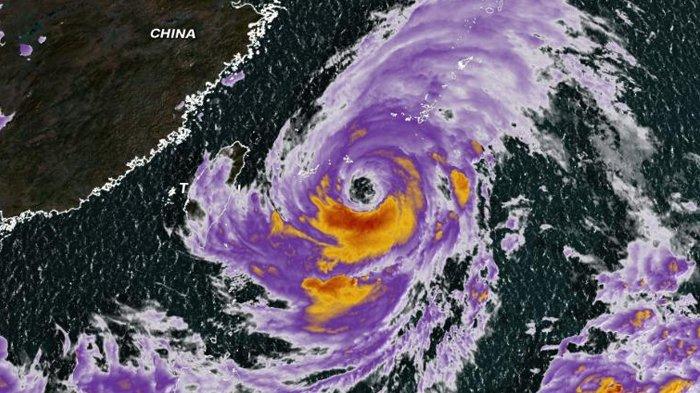
Topan In-fa diperkirakan akan mendarat di China timur akhir pekan ini. In-fa diperkirakan akan berkembang menjadi topan super
Jumat, 23 Juli 2021 -
Topan In-fa Menguat di Samudera Pasifik, Jepang, Taiwan, dan China Terancam
Topan In-fa makin intensif di barat laut Samudra Pasifik karena mulai berdampak pada beberapa bagian Jepang.
Rabu, 21 Juli 2021